nieruchomości
Wypełnij formularz i kliknij SZUKAJ poniżej

Numer oferty
 
 
Lokalizacja
Ulica
Cena
Powierzchnia
Liczba pokoi
oferty specjalne

Notes » Zgłoś ofertę » Kalkulator opłat » Wirtualne spacery » O nas » Opinie techniczne » Świadectwo Ener. » Kontakt »

Szczegóły Oferty

działka budowlana ( sprzedaż )

908578

Numer:
908578
Miasto:
WOŁCZKOWO
Ulica:
LIPOWA
Cena:
790 000 PLN kalkulator
Cena za mkw:
337,17 PLN mkw
Powierzchnia:
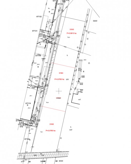
2343.00 m2
Droga dojazdowa:
polna
Kanalizacja:
TAK
Media - gaz:
TAK
Media - woda:
TAK

Opis


WARUNKI ZABUDOWY 6 DOMÓW W ZABUDOWIE BLIŹNIACZEJ

Wołczkowo ul. Lipowa / Pełne uzbrojenie w drodze dojazdowej / 2 min do Przystanku Autobusowego

Gmina procesuje wydanie Decyzji o Warunkach zabudowy dla 3 domów jednorodzinnych. Istnieje możliwość zabudowy domami jednorodzinnymi dwulokalowymi razem 6 domów w zabudowie bliźniaczej
- powierzchnia zabudowy 18%
- Dachy dwuspadaowe lub wielospadowe
- Wysokośćgłównych kalenic dachu 6,9m - 9,0m

Działka zlokalizowana przy ul. Lipowej - głównej ulicy Wołczkowa.
W najbliższym sąsiedztwie znajduje sięprzystanek autobusowy, las, boisko z terenami rekreacyjnymi.

Media
- Wodociąg - Wodociąg w drodze wewnętrznej przy działce oraz studia głębinowa
- Kanalizacja sanitarna - w drodze wewnętrznej przy działce
- Energia elektryczna - w drodze wewnętrznej przy działce
- Gazociąg - w drodze wewnętrznej przy działce

Istnieje możliwość podziału na 3 działki wg projektu w galerii zdjęć

Cena do negocjacji

 
FOCUS NIERUCHOMOŚCI KATARZYNA CHOROMAŃSKA OROWICZ
Cztery Pory Roku 12 5
71-806 Szczecin
tel.: 881640777
email: biuro@focus.nieruchomosci.pl
Wyślij ofertę na e-mail

Jeśli chcesz dostać tą ofertę w e-mailu,
podaj swój adres.
 
 

Prześlij wiadomość do naszej firmy
Imię i Nazwisko 
Telefon 
E-mail 
Treść zapytania 

Wyrażam zgodę na przetwarzanie moich danych osobowych przez firmę dla celów związanych z działalnością pośrednictwa w obrocie nieruchomościami, jednocześnie potwierdzam, iż zostałem poinformowany o tym, iż będę posiadać dostęp do treści swoich danych do ich edycji lub usunięcia.