nieruchomości
Wypełnij formularz i kliknij SZUKAJ poniżej

Numer oferty
 
 
Lokalizacja
Ulica
Cena
Powierzchnia
Liczba pokoi
oferty specjalne

Notes » Zgłoś ofertę » Kalkulator opłat » Wirtualne spacery » O nas » Opinie techniczne » Świadectwo Ener. » Kontakt »

Szczegóły Oferty

działka budowlana ( sprzedaż )

908526

Numer:
908526
Miasto:
DOBRA
Ulica:
UŁAŃSKA
Cena:
442 500 PLN kalkulator
Cena za mkw:
250 PLN mkw
Powierzchnia:
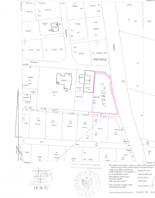
1770.00 m2
Droga dojazdowa:
utwardzona
Media - gaz:
TAK
Media - woda:
TAK

Opis


Wybuduj 4 domy w zabudowie bliźniaczej / 8 lokali mieszkalnych jednorodzinnych w zabudowie bliźniaczej.

Dla działki o powierzchni 1770m2 zostały wydane warunki zabudowy
- Wskaźnik zabudowy do 15%
- Szerokośćelewacji frontowej budynków od 10m do 15m
- Dach stromy dwuspadowy
- Kąt nachylenia dachu od 35. do 45 stopni
- Maksymalna wysokość budynków 9,0m

Dobra ul. Cesarska / Ułańska - Dysponujęofertąwielu działek o powierzchni od 715m2 do 1770m2.

Działka rolna z przeznaczeniem pod budownictwo jednorodzinne, zlokalizowana pośród nowych domów jednorodzinnych oraz w trakcie budowy.
W najbliższym sąsiedztwie znajduje się las, staw, stadnina koni.

Działka znajduje się w kompleksie działek, 200m od lasu, niedaleko boiska Orlik.
Droga dojazdowa wyłożona płytami Jumbo, ostatni odcinek to droga utwardzona.

Uzbrojenie
Energia elektryczna w drodze wewnętrznej przy działce.
Gazociąg w drodze wewnętrznej przy działce.
Wodociąg w drodze wewnętrznej przy działce.
Kanalizacja Przydomowa oczyszczalnia ścieków / Zbiornik bezodpływowy.

Nieruchomość godna polecenia ze względu na lokalizację oraz cenę

 
FOCUS NIERUCHOMOŚCI KATARZYNA CHOROMAŃSKA OROWICZ
Cztery Pory Roku 12 5
71-806 Szczecin
tel.: 881640777
email: biuro@focus.nieruchomosci.pl
Wyślij ofertę na e-mail

Jeśli chcesz dostać tą ofertę w e-mailu,
podaj swój adres.
 
 

Prześlij wiadomość do naszej firmy
Imię i Nazwisko 
Telefon 
E-mail 
Treść zapytania 

Wyrażam zgodę na przetwarzanie moich danych osobowych przez firmę dla celów związanych z działalnością pośrednictwa w obrocie nieruchomościami, jednocześnie potwierdzam, iż zostałem poinformowany o tym, iż będę posiadać dostęp do treści swoich danych do ich edycji lub usunięcia.